
সুপার টাইফুন ‘রাগাসা’ প্রবল শক্তি নিয়ে ধেয়ে আসছে। ঝড়ের আশঙ্কায় প্রশাসন উপকূলীয় ও ঝুঁকিপূর্ণ এলাকা থেকে স্থানীয় বাসিন্দাদের সরিয়ে নিতে শুরু করেছে। এই সুপার টাইফুনটি ফিলিপাইন ও তাইওয়ানের দিকে এগিয়ে আসছে।
সোমবার (২২ সেপ্টেম্বর) ইয়াহু নিউজের এক প্রতিবেদনে এ তথ্য জানানো হয়েছে।
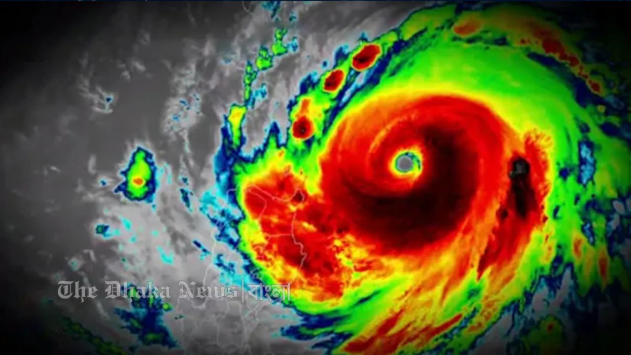
ফিলিপাইনের আবহাওয়া সংস্থা জানিয়েছে, প্রশান্ত মহাসাগরে সৃষ্টি হওয়া এই সুপার টাইফুনটি অত্যন্ত দ্রুত এগিয়ে আসছে। আগামী মঙ্গলবার (২৩ সেপ্টেম্বর) সন্ধ্যায় এটি ফিলিপাইনের কম জনবসতিপূর্ণ বাতানেস ও বাবুয়ান দ্বীপপুঞ্জে আঘাত হানতে পারে। দেশটিতে টাইফুনটি ‘নান্দো’ নামে পরিচিত।
রোববার (২১ সেপ্টেম্বর) স্থানীয় সময় সকাল ১১টা পর্যন্ত টাইফুনটির কেন্দ্রীয় অঞ্চলে বাতাসের গতিবেগ ছিল ঘণ্টায় ১৮৫ কিলোমিটার, যা দমকা হাওয়াসহ ২৩০ কিলোমিটার বা তারও বেশি হতে পারে।
ফিলিপাইনের স্বরাষ্ট্রমন্ত্রী জোনভিক রেমুল্লা জানিয়েছেন, ঝুঁকিপূর্ণ এলাকায় বসবাসরত পরিবারগুলোকে দ্রুত নিরাপদ স্থানে সরিয়ে নিতে স্থানীয় প্রশাসনকে নির্দেশ দেওয়া হয়েছে।
এদিকে তাইওয়ান জানিয়েছে, দেশটির পূর্বাঞ্চলীয় হাউলিয়েন এলাকা থেকে অন্তত ৩০০ জনকে সরিয়ে নেওয়ার প্রস্তুতি নেওয়া হয়েছে। তবে টাইফুনের গতিপথের ওপর ভিত্তি করে এই সংখ্যা আরও বাড়তে বা কমতে পারে।
তাইওয়ানের আবহাওয়া কর্তৃপক্ষ আশঙ্কা প্রকাশ করেছে, আজ রাতে একটি স্থল টাইফুন সতর্কতা জারি করা হতে পারে এবং কাল (২২ সেপ্টেম্বর) সকাল ৬টার দিকে টাইফুনটি উপকূলীয় অঞ্চলে আঘাত হানতে পারে।
ফিলিপাইনের আবহাওয়া বিশেষজ্ঞ জন গ্রেন্ডার আলমারিও এক সংবাদ সম্মেলনে বলেন, সুপার টাইফুনের প্রভাবে লুজন দ্বীপের উত্তরাঞ্চলে প্রবল বৃষ্টিপাত, বন্যা ও ভূমিধসের আশঙ্কা রয়েছে। তিনি জানান, আজ রাত থেকেই এর প্রভাব শুরু হবে এবং কাল সকাল ৮টার দিকে এটি সবচেয়ে বেশি তীব্রতা নিয়ে আঘাত হানবে।
এই টাইফুনের প্রভাবে রাজধানী ম্যানিলাতেও ভারী বৃষ্টিপাত হতে পারে। যেখানে আজ দুর্নীতিবিরোধী এক বিক্ষোভে হাজার হাজার মানুষ অংশ নিয়েছেন।
রোববার, ০৫ অক্টোবর ২০২৫
প্রকাশের তারিখ : ২২ সেপ্টেম্বর ২০২৫
যুক্ত থাকুন দ্যা ঢাকা নিউজের সাথে